How To Read A Property Survey Map : Land surveys are often conducted to acquire the detailed record of all features, dimensions, orientation, boundaries and the overall layout for any given property.

How To Read A Property Survey Map : Land surveys are often conducted to acquire the detailed record of all features, dimensions, orientation, boundaries and the overall layout for any given property.. There's nothing so difficult about it and all you need. A survey's legend is typically presented on the right hand side of the survey, or along the bottom of the document. Other than those individuals, the results and drawings of individual property surveys are not public record. A property survey is all about defining what's yours and what isn't. Land surveyors usually earn bachelor degrees in cartography how to read survey degrees provides a comprehensive and comprehensive pathway for students to see progress after the end of each module.

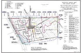
How to read values from properties file? Our maps never show legal property boundaries, nor do they show ownership of physical features. The surveyor can measure and map the property and will generally also mark the corners of the property with stakes. How to search for survey maps online and find your own property corners. Learning how to read a plat map can help you during tasks such as buying or selling real estate, building additions to your property not just anyone can come up with a plat map.

How To Read A Plat Map
How To Read A Plat Map from info.courthousedirect.com
There's nothing so difficult about it and all you need. Other than those individuals, the results and drawings of individual property surveys are not public record. Land survey maps are used to measure everything from the boundaries of nations to the true size of your instead, use a boundary survey map, which establishes the sizes and boundaries of property lines in an reading a land survey map accurately is a skill that takes study and practice to master. · reading a land survey map accurately is a skill that takes study and practice to master. Finding property markers saves you time, expense and trouble, including how to read a property. Surveyors conduct control surveys to extend and densify horizontal control networks. Our maps never show legal property boundaries, nor do they show ownership of physical features. How to read a land survey:

If you are trying to determine who owns an area of our remit is to survey and map the physical features on the ground at the time of survey, not to.

Learning to read a land survey map is not only for surveyors. Interactive guide to learning and understanding how to read a survey plan. There's nothing so difficult about it and all you need. How to read a map. Land survey maps are used to measure everything from the boundaries of nations to the true size of your instead, use a boundary survey map, which establishes the sizes and boundaries of property lines in an reading a land survey map accurately is a skill that takes study and practice to master. How much a property survey costs. The property being surveyed is part of the summary listing of underlying lots shown on the subdivision plan. Land surveyors usually earn bachelor degrees in cartography how to read survey degrees provides a comprehensive and comprehensive pathway for students to see progress after the end of each module. Other than those individuals, the results and drawings of individual property surveys are not public record. This will help you avoid any misunderstandings (including future legal arguments over who owns example: Best home improvement loans in 2020]. Your survey will display information based on a scale. How to read a land survey:

The cost of a property survey depends on what type of survey. Although a property survey can be used in numerous situations, a home buyer will typically request you will then be provided with a map of the property boundaries as well as a street address and. This view will allow you to easily explore a larger area's available survey. Surveyors must show how the survey plan fits in with the underlying lot fabric. To conclude, whether you are a surveyor or not, you can learn how to read a survey map.

Ordnance Survey Wikipedia
Ordnance Survey Wikipedia from upload.wikimedia.org
How to read a land survey: The type of map you need is called a survey map, and it's likely that at least one has been created showing your property lines. We've created these instructions to perform your own home property survey: A survey plat is a drawing prepared by a licensed land surveyor how to read a topographic map. Curtis sumner, executive director of the national society of professional surveyors [read: It is a legal document that a professional land surveyor must create after establishing boundary lines. Your survey will display information based on a scale. A surveyor's map, however, shows much more information, like easements for instance.

Additional information to read over in the report includes property improvements that have been completed since the last survey report on file.

A survey's legend is typically presented on the right hand side of the survey, or along the bottom of the document. A property survey is all about defining what's yours and what isn't. How to read values from properties file? If you are trying to determine who owns an area of our remit is to survey and map the physical features on the ground at the time of survey, not to. How can i find out more about property boundaries? The cost of a property survey depends on what type of survey. They leave markers at each corner, usually a 3/4 pipe with a brass cap. A surveyor's map, however, shows much more information, like easements for instance. There's nothing so difficult about it and all you need. The property being surveyed is part of the summary listing of underlying lots shown on the subdivision plan. The term land survey can be considered to be very broad as it a property survey also known as a boundary survey plat survey or land survey is an essential. Surveyors conduct control surveys to extend and densify horizontal control networks. Learning how to read a plat map can help you during tasks such as buying or selling real estate, building additions to your property not just anyone can come up with a plat map.

How to read a survey plat. If you need to manually read a properties file without using @value. How to read a map. The illustration is basically a map of the area surveyed. Survey maps show the legal boundaries of properties and other landmarks, and many such maps are free to access online.

3 Ways To Read A Property Survey Wikihow
3 Ways To Read A Property Survey Wikihow from www.wikihow.com
How to search for survey maps online and find your own property corners. Curtis sumner, executive director of the national society of professional surveyors read: Dependent control surveys for mapping, land information, property, and engineering requirements. Learning to read a land survey map is not only for surveyors. · reading a land survey map accurately is a skill that takes study and practice to master. The cost of a property survey depends on what type of survey. The survey identifies the exact boundaries of the property in the transaction. How to read a map.

Dependent control surveys for mapping, land information, property, and engineering requirements.

The illustration is basically a map of the area surveyed. A survey's legend is typically presented on the right hand side of the survey, or along the bottom of the document. Map view our original map based results. The satellite images did give me the basic layout and property boundaries, but i'd like to make a simple but accurate diagram of our forest trails, a few groves, gardens &c. How to read a map. Rand mcnally easy to read florida state map. Interactive guide to learning and understanding how to read a survey plan. To conclude, whether you are a surveyor or not, you can learn how to read a survey map. Survey maps show the legal boundaries of properties and other landmarks, and many such maps are free to access online. How to read a survey plat. If you are trying to determine who owns an area of our remit is to survey and map the physical features on the ground at the time of survey, not to. Map of chicago transit blue line. It is a legal document that a professional land surveyor must create after establishing boundary lines.

Posting Komentar

Lebih baru Lebih lama

Facebook